亀岡駅にほど近い場所です♪
土地地約120坪!都市計画法の43条の許可を得ることで、再建築が可能です。(現状の建物は農業用倉庫のため利用頂けません。建物を解体して、新たに建築する建物は一般の方でも利用頂けます)








亀岡駅にほど近い場所です♪
土地地約120坪!都市計画法の43条の許可を得ることで、再建築が可能です。(現状の建物は農業用倉庫のため利用頂けません。建物を解体して、新たに建築する建物は一般の方でも利用頂けます)








| 価格 | 850万円 |
|---|---|
| 物件所在地 | 亀岡市保津町四ノ坪 |
| 地図 | https://maps.app.goo.gl/qesmSm3vbcaznwoj7 |
| 建物構造 | |
| 間取り | |
| 築 | |
| 建物面積 | |
| 交通状況 | JR山陰本線 亀岡 徒歩23分 |
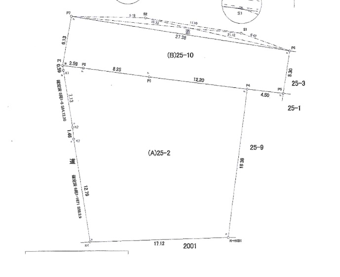
| 土地面積 | 公簿 398.00㎡ (120.39坪) |
| 設備等 | 電気 上水道 下水道 |
| 現状 | 上物あり(解体必要) |
| オススメポイント | 地約120坪!都市計画法の43条の許可を得ることで、再建築が可能です。(現状の建物は農業用倉庫のため利用頂けません。建物を解体して、新たに建築する建物は一般の方でも利用頂けます) |
| 備考 | 〇現状有姿公簿取引 〇売主の契約不適合責任免責 〇都市計画法43条の許可申請要 〇土砂災害警戒区域(急傾斜) 〇洪水浸水想定区域(浸水深3.0~5.0未満) 〇現状の建物は農業用倉庫のため使用できません。建物は必ず解体してください。 |
| 入居可能予定日 | 相談 |
| 情報更新日 | 2025/11 |